Bản vẽ phòng cháy chữa cháy gồm những gì? [Hồ sơ thiết kế kỹ thuật PCCC]
Bản vẽ phòng cháy chữa cháy là hạng mục kỹ thuật bắt buộc và có tính quyết định trong việc đảm bảo an toàn cho công trình. Một bản vẽ PCCC đạt chuẩn không chỉ thể hiện rõ giải pháp thiết kế mà còn là cơ sở để cơ quan chức năng thẩm duyệt, cấp phép thi công.
Vậy bản vẽ phòng cháy chữa cháy gồm những gì, cần đáp ứng các yêu cầu nào để được phê duyệt? Cùng Hải Thành tìm hiểu chi tiết qua bài viết dưới đây nhé!
.jpg)
Tìm hiểu bản vẽ thiết kế phòng cháy chữa cháy
Bản vẽ phòng cháy chữa cháy là gì?
Bản vẽ phòng cháy chữa cháy (PCCC) là bản thiết kế thể hiện chi tiết phương án, vị trí, thông số kỹ thuật và sơ đồ bố trí hệ thống phòng cháy, báo cháy, chữa cháy, thoát hiểm trong công trình. Một bản vẽ PCCC đạt chuẩn thường bao gồm các phần:
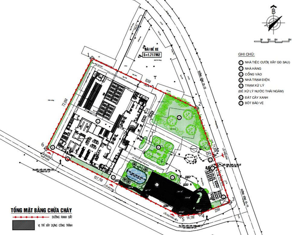
- Bản vẽ tổng mặt bằng khu đất.
- Bản vẽ mặt bằng từng tầng thể hiện vị trí thiết bị PCCC.
- Sơ đồ nguyên lý các hệ thống như báo cháy, chữa cháy, hút khói, thông gió, cấp nước,...
- Bản vẽ chi tiết lắp đặt và đấu nối điện điều khiển;
- Thuyết minh thiết kế, thống kê khối lượng, bảng dự toán chi phí.
.jpg)
Bản vẽ phòng cháy chữa cháy giúp đảm bảo công trình vận hành lâu dài và an toàn
>> Xem thêm: Quy định cửa thoát hiểm trong xây dựng nhà xưởng
Yêu cầu phòng cháy chữa cháy gồm những gì?
Thiết kế theo tiêu chuẩn PCCC
Các công trình xây dựng tại Việt Nam bắt buộc tuân thủ theo hệ thống tiêu chuẩn do Bộ Công an và Bộ Xây dựng ban hành, bao gồm:
- TCVN 5738:2021: Hệ thống báo cháy – Yêu cầu kỹ thuật.
- TCVN 7336:2021: Hệ thống sprinkler tự động.
- TCVN 2622:1995: Phòng cháy, chống cháy cho nhà và công trình.
- TCVN 9385:2012: Chống sét cho công trình xây dựng.
- QCVN 06:2022/BXD và Sửa đổi 1:2023: An toàn cháy cho nhà ở, công trình công cộng.
Bản vẽ chi tiết
Bản vẽ PCCC được thể hiện bằng phần mềm AutoCAD (.dwg), in khổ A3 hoặc A1 với các sơ đồ kỹ thuật đầy đủ:
- Sơ đồ tổng thể công trình và mặt bằng các tầng.
- Sơ đồ hệ thống báo cháy, chữa cháy, cấp nước.
- Sơ đồ thoát hiểm và bố trí cửa chống cháy.
- Sơ đồ điện điều khiển và hệ thống chiếu sáng khẩn cấp.
Độ chính xác trong từng chi tiết là yếu tố tiên quyết, bởi chỉ cần sai lệch nhỏ trong vị trí đầu phun, đường ống hoặc thiết bị cũng có thể làm mất hiệu quả toàn hệ thống khi xảy ra sự cố.
.jpg)
Mặt bằng hệ thống phòng cháy chữa cháy
>> Xem thêm: Các yêu cầu PCCC cho nhà hàng mới nhất 2025
Phù hợp công năng sử dụng
Mỗi công trình có tính chất riêng, vì vậy bản vẽ phòng cháy chữa cháy phải được thiết kế phù hợp với công năng và quy mô thực tế. Ví dụ:
- Nhà xưởng sản xuất: Yêu cầu hệ thống sprinkler tự động, vòi phun foam hoặc CO₂.
- Chung cư cao tầng: Yêu cầu bơm tăng áp, tủ trung tâm báo cháy và thang thoát hiểm áp suất dương.
- Văn phòng, trường học: Tập trung vào hệ thống báo cháy nhanh, đèn chỉ dẫn thoát nạn.
Nếu thiết kế sai công năng, hệ thống sẽ không hoạt động hiệu quả, thậm chí bị từ chối thẩm duyệt.
Đảm bảo yếu tố môi trường
Ngoài kỹ thuật, hệ thống PCCC cũng phải thân thiện với môi trường, không sử dụng hóa chất hoặc khí gây hại (như Halon cũ). Các vật liệu, ống dẫn và đầu phun phải đạt tiêu chuẩn chất lượng, tránh rò rỉ hoặc ảnh hưởng đến sức khỏe con người trong quá trình vận hành.
Quy trình thẩm duyệt bản vẽ phòng cháy chữa cháy
Để được phép thi công, hồ sơ thiết kế phải trải qua quy trình thẩm duyệt PCCC theo quy định tại Nghị định 136/2020/NĐ-CP. Các bước cơ bản gồm:
- Chuẩn bị hồ sơ thẩm duyệt
- Nộp hồ sơ tại Cục hoặc Phòng Cảnh sát PCCC (tùy quy mô công trình).
- Cơ quan PCCC kiểm tra, phản hồi nếu hồ sơ còn thiếu hoặc sai quy cách.
- Phê duyệt và cấp văn bản chấp thuận, làm cơ sở để xin giấy phép xây dựng.
- Thi công theo bản vẽ đã được duyệt, sau đó tiến hành nghiệm thu PCCC trước khi đưa công trình vào sử dụng.
Việc thẩm duyệt giúp bảo đảm công trình tuân thủ đúng quy chuẩn, giảm thiểu rủi ro và tránh chi phí sửa đổi sau này.
>> Xem thêm: Các yêu cầu về PCCC trong nhà xưởng tại Hải Phòng [cập nhật mới nhất 2025]
Kết luận
Tóm lại, bản vẽ phòng cháy chữa cháy là phần quan trọng nhất trong hồ sơ kỹ thuật của mọi công trình. Đây không chỉ đáp ứng yêu cầu pháp lý mà còn bảo vệ an toàn cho người và tài sản khi có sự cố. Hãy trang bị một bản thiết kế PCCC đầy đủ, chi tiết để đảm bảo tuyệt đối cho công trình bạn nhé!
Địa chỉ: Số 126 Hoàng Ngọc Phách, Kênh Dương, Lê Chân, TP Hải Phòng
Hotline: 0904.140.582
Gmail: haithanhxaydung@gmail.com
Website: xaydunghaithanh.com
Trong thời gian gần đây, giá xăng dầu thế giới liên tục biến động do căng thẳng địa chính trị và nguy cơ gián đoạn nguồn cung. Khi chi phí năng lượng tăng, nhiề...
Trong nhiều công trình dân dụng và nhà xưởng hiện nay, các lỗi thi công sàn bê tông không phải lúc nào cũng nhìn rõ bằng những vết nứt rõ ràng. Thực tế cho thấy...
Diện tích sàn và diện tích xây dựng, đây là hai khái niệm này thường được nhắc đến trong thi công xây dựng. Thực tế cho thấy, không ít trường hợp tổng chi phí x...
Trong quá trình sử dụng nhà ở, thấm nước là một trong những sự cố âm thầm nhưng để lại hậu quả nghiêm trọng nhất. Ban đầu có thể chỉ là một mảng tường ố màu, tr...
Giá vật liệu xây dựng luôn là yếu tố nhạy cảm, ảnh hưởng trực tiếp đến tổng mức đầu tư, tiến độ và hiệu quả tài chính của mỗi công trình. Bước sang giai đoạn cu...
